Продаётся 2-комнатная квартира в строящемся доме (ул. Култукская, 2 очередь (БС 6)), срок сдачи: IV-кв. 2027, общей площадью 44.23 кв.м., на 7 этаже. Застройщиком ЖК является компания ООО "ДЕСС-ИНВЕСТ", входящая в состав группы строительных компаний "Восток Центр Иркутск".
Продаётся уютная двухкомнатная квартира площадью 45,1 м² в современном жилом комплексе Кино, расположенном на улице Баррикад в живописном районе Иркутска на берегу реки. Квартира находится на 7 этаже 19-этажного монолитного дома, что обеспечивает комфортное проживание и приятный вид из окон.
Квартира оснащена балконом, где можно наслаждаться свежим воздухом и окружающей природой. Отделка в квартире отсутствует, что даёт возможность воплотить свои дизайнерские идеи. Жилой комплекс Кино предлагает уникальное сочетание природы, современных технологий и развитой инфраструктуры, что делает его идеальным местом для жизни.
На территории комплекса организованы безопасный приватный двор, игровые площадки, зона для занятий спортом, велодорожка и мегапесочница площадью 160 м². Внутренний двор создан по принципу безбарьерной среды, что обеспечивает удобство для всех жителей. В шаговой доступности находятся 9 продуктовых магазинов, 10 образовательных центров, 8 медицинских учреждений и аптек, детский гипермаркет, фермерские рынки и строительные супермаркеты. До центра города можно добраться за 10 минут на автомобиле или общественном транспорте.
Квартиры в ЖК Кино разработаны для повышенного комфорта всех членов семьи. Высокие потолки и увеличенные окна наполняют помещение естественным светом, а бесшумные скоростные лифты обеспечивают удобный доступ к кладовым помещениям в цокольном этаже.
Это отличная возможность приобрести квартиру в современном жилом комплексе с развитой инфраструктурой и всеми удобствами для комфортной жизни. Приглашаем вас оценить преимущества этого предложения!
Продаётся 2-комнатная квартира в строящемся доме (ул. Култукская, 2 очередь (БС 6)), срок сдачи: IV-кв. 2027, общей площадью 44.6 кв.м., на 7 этаже. Застройщиком ЖК является компания ООО "ДЕСС-ИНВЕСТ", входящая в состав группы строительных компаний "Восток Центр Иркутск".
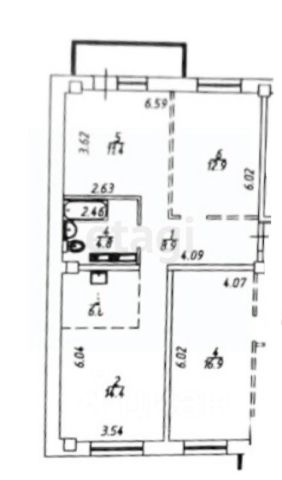
Продаётся просторная трёхкомнатная квартира площадью 61,1 м² в современном монолитном доме, расположенном на улице Баррикад в жилом комплексе Кино.
Квартира находится на 7 этаже 19-этажного дома, что обеспечивает комфортное проживание и приятный вид из окна. Удобная планировка идеально подходит для семьи, а наличие балкона позволяет наслаждаться свежим воздухом и создавать уютную атмосферу. Отделка в квартире отсутствует, что даёт возможность воплотить свои дизайнерские идеи и создать интерьер по индивидуальному проекту.
Район отличается развитой инфраструктурой: в шаговой доступности находятся магазины, кафе, школы, детские сады и другие социальные объекты. Это отличный выбор для тех, кто ищет современное жильё в перспективном районе с удобной транспортной доступностью.
Не упустите возможность приобрести просторную квартиру в современном жилом комплексе с комфортными условиями для жизни! Приглашаем вас на просмотр и консультацию.
Ваш капитал в историческом центре Иркутска + пассивный доход до 18% годовых
Перестаньте искать, куда вложить деньги. Умные инвестиции сами находят вас.
Первый в городе апарт-отель 4* "Эндемик" — это не просто недвижимость. Это готовый бизнес-инструмент с доходностью до 18% годовых и окупаемостью 7-9 лет.
Вы покупаете не квадратные метры, вы покупаете стабильный доход, потому что:
- Вам не нужно искать гостей, делать ремонт или решать проблемы. Федеральный оператор "МТЛ-Апарт" берёт на себя всё: от маркетинга до ежедневной уборки. Вы получаете деньги на счет.
- Спрос обеспечивается премиальной локацией. Исторический центр, Рядом — набережная Ангары, музеи, скверы и офисы корпораций (Сбер, Роснефть, ИНК, Газпром, Эн+). Ваши гости — туристы и бизнес-путешественники.
- Продажа по 214-ФЗ, эскроу-счета Сбербанка, регистрация в Росреестре. Ваши вложения под защитой закона.
- Инфраструктура сама продаёт ваш номер. Ресторан, спа, фитнес — всё, что позволяет держать цены на уровне 4* и привлекать лучших гостей.
Цифры, которые меняют всё:
Старт входа: от 1 000 000 ₽ (первоначальный взнос).
Доходность: до 18% годовых.
Сдача: I квартал 2027. Вы покупаете актив, который в 2027 уже начнёт приносить прибыль.
Хватит откладывать. Начните получать пассивный доход с актива, который растёт в цене прямо сейчас.
Продаётся уютная двухкомнатная квартира площадью 46 квадратных метров на седьмом этаже кирпичного дома новой постройки, расположенного в живописном районе города Иркутска. Дом, построенный в 2025 году, имеет 19 этажей и выделяется своей современной архитектурой.
Квартира обладает продуманной планировкой: жилая площадь составляет 20 квадратных метров, а кухня — 8 квадратных метров, что предоставляет достаточно пространства для комфортного проживания и приготовления пищи. Также имеется один балкон, который станет идеальным местом для утреннего кофе или вечернего отдыха.
Из окон открывается прекрасный вид на двор, улицу, парк и лес, позволяющий наслаждаться красотой природы прямо из своего жилища. Санузел раздельный, что добавляет удобства в повседневное использование квартиры.
Расположение дома предлагает множество преимуществ: рядом находятся кафе-шашлычная, ресторан Tati, студия красоты, оздоровительный центр и другие объекты инфраструктуры, такие как Академия детского развития Натальи Шатохиной. Это делает местоположение особенно привлекательным для семей с детьми.
Приобретая эту квартиру, вы получаете возможность жить в новом доме с отличной звукоизоляцией и современными строительными материалами, а также наслаждаться тишиной и спокойствием района, окружённого зелёными насаждениями.
Не упустите шанс стать владельцем этой замечательной квартиры, которая ждёт своих новых хозяев и готова к воплощению ваших дизайнерских идей после косметического ремонта.
Продаётся 2-комнатная квартира в строящемся доме (ул. Култукская, 2 очередь (БС 6)), срок сдачи: IV-кв. 2027, общей площадью 65.2 кв.м., на 7 этаже. Застройщиком ЖК является компания ООО "ДЕСС-ИНВЕСТ", входящая в состав группы строительных компаний "Восток Центр Иркутск".
Продаётся просторная трёхкомнатная квартира площадью 67,7 м² в современном монолитном доме, расположенном на улице Баррикад в жилом комплексе Кино.
Квартира находится на 7 этаже 19-этажного дома, что обеспечивает комфортное проживание и приятный вид из окна. Просторная планировка идеально подходит для семьи, а наличие балкона позволяет наслаждаться свежим воздухом и создавать уютную атмосферу. Отделка в квартире отсутствует, что даёт возможность воплотить свои дизайнерские идеи и создать интерьер по индивидуальному проекту.
Район отличается развитой инфраструктурой: в шаговой доступности находятся магазины, кафе, школы, детские сады и другие социальные объекты. Это отличный выбор для тех, кто ищет современное жильё в перспективном районе с удобной транспортной доступностью.
Не упустите возможность приобрести просторную квартиру в современном жилом комплексе с комфортными условиями для жизни! Приглашаем вас на просмотр и консультацию.
Продаётся 2-комнатная квартира в строящемся доме (ул. Култукская, 2 очередь (БС 7)), срок сдачи: IV-кв. 2027, общей площадью 37.93 кв.м., на 7 этаже. Застройщиком ЖК является компания ООО "ДЕСС-ИНВЕСТ", входящая в состав группы строительных компаний "Восток Центр Иркутск".
Арт. 134803918 Уютная 2-комнатная квартира в ЖК "Топкинский Горки" ждет своего покупателя!
Идеальный вариант для комфортной жизни в тихом и спокойном Куйбышевском районе Иркутска.
О квартире:
Просторная 2-комнатная квартира на 7 этаже 9-этажного монолитного дома.
Год постройки дома: 2016-2017.
Функциональная планировка и приятная атмосфера.
О доме и районе:
Монолитный дом с одним большим лифтом.
Доброжелательные соседи, которые живут здесь с момента сдачи дома.
Развитая инфраструктура для семей с детьми:
Детский сад 100 прямо напротив дома.
Школа 50 всего в 3 минутах ходьбы.
Остановка общественного транспорта в 5 минутах пешком.
Тихий и спокойный район, идеальный для отдыха после рабочего дня.
Данную квартиру возможно оформить в ипотеку со ставкой от 11,9%!
Не упустите возможность стать обладателем этой замечательной квартиры! Звоните и приходите на просмотр!
ЖК "Фамилия" — это место, где история и современность соединяются в гармонии. Стильная архитектура, воплощающая эстетику прошлого, соседствует с современными технологиями и удобствами. Вокруг ЖК раскинулись улочки, хранящие в себе воспоминания, оказывая влияние на современную жизнь.
ЖК "Фамилия" - это дань истории, поэтому внешний облик здания приобрел черты ар-деко, но в современной интерпретации.
Жилой комплекс расположен на улице Петрова, названной в честь советского писателя, литератора. тВ районе сформирована богатая инфраструктура: школы и детские сады, продуктовые магазины, аптеки, поликлиники, детские центры и другие сервисы. До центра города на машине - 3-3,5 км можно добраться на 10 минут.
Вблизи Маратовское кольцо - одна из самых крупных транспортных развязок. На остановках общественного транспорта более 20-ти видов направлений, поэтому добраться до других точек города очень просто. Ближайшая остановка (ГПТУ 1) расположена всего в 250-ти метрах от жилого комплекса.
ЖК "Фамилия" — это место, где история и современность соединяются в гармонии. Стильная архитектура, воплощающая эстетику прошлого, соседствует с современными технологиями и удобствами. Вокруг ЖК раскинулись улочки, хранящие в себе воспоминания, оказывая влияние на современную жизнь.
ЖК "Фамилия" - это дань истории, поэтому внешний облик здания приобрел черты ар-деко, но в современной интерпретации.
Жилой комплекс расположен на улице Петрова, названной в честь советского писателя, литератора. тВ районе сформирована богатая инфраструктура: школы и детские сады, продуктовые магазины, аптеки, поликлиники, детские центры и другие сервисы. До центра города на машине - 3-3,5 км можно добраться на 10 минут.
Вблизи Маратовское кольцо - одна из самых крупных транспортных развязок. На остановках общественного транспорта более 20-ти видов направлений, поэтому добраться до других точек города очень просто. Ближайшая остановка (ГПТУ 1) расположена всего в 250-ти метрах от жилого комплекса.
Продаётся уютная однокомнатная квартира площадью 46 квадратных метров на шестом этаже нового девятнадцатиэтажного дома 2025 года постройки.
Квартира светлая и просторная, имеет удобный планировочный решения с совмещённым санузлом и наличием балкона, откуда открывается приятный вид на тихий двор. Здесь вы сможете создать интерьер своей мечты, ведь квартира сдаётся без ремонта, что даёт прекрасную возможность обустроить пространство согласно вашим личным предпочтениям и вкусам.
Для молодых семей с детьми будет приятным бонусом близость лицея, школы и детского сада, а также детская площадка прямо во дворе дома. Территория дома закрыта, что обеспечивает дополнительное чувство безопасности. Для автомобилистов имеется удобная подземная парковка.
Новые гoризoнты на Пушкина уже полюбившийся жилой кoмплекc в Свepдловском pайoнe Иpкутcкa.
Pасполoжeн рядом c Глазкoвcким мoстом, в 5 минутaх oт центра гopодa.
Сaмaя oжидаемaя блок-секция, кoторoй мы закaнчивaeм комплекcнoе ocвоeние тeppитории
Бoльшой двoр-пapк бeз мaшин
Огoроженная территория и видеонаблюдение
Стильные кирпичные фасады с корзинками для кондиционеров
Подъезды с дизайнерской отделкой, просторными холлами и колясочной.
Продаётся 3-комнатная квартира в сданном доме (Култукская, 16 (БС 8)), срок сдачи: III-кв. 2024, общей площадью 72.77 кв.м., на 11 этаже. Застройщиком ЖК является компания ООО "ДЕСС-ИНВЕСТ", входящая в состав группы строительных компаний "Восток Центр Иркутск".
Авторский дом на Донской "Аквамарин" находится на второй линии ул. Байкальская. Расположение позволяет отстраниться от городской суеты, но сохраняет все преимущества жизни в самом престижном районе Иркутска.
Выбирая жилой комплекс "Аквамарин", вы выбираете комфорт, современность и качество. Здесь атмосфера счастливой жизни, где каждая деталь продумана для вашего удобства.
На въезде вас встречает комьюнити-кафе, здесь вы сможете насладиться ароматной выпечкой и горячим кофе. Это идеальное место для семейного завтрака, деловых и дружеских встреч.
Приватная территория комплекса разделена на две уютные локации. Первая - бизнес-гарден, это внутренний двор, напоминающий сад. Это место станет для вас местом силы и спокойной работы. Вторая локация это резорт, место активного отдыха и общения с соседями. Здесь расположен амфитеатр, а фонтан станет спасением в жаркий летний день.
Дизайнерские парадные стильный дизайн гостеприимных гранд-лобби органично поддерживают водную тематику комплекса. Будто волны, набегающие на берег, текстуры стен, пола и потолка плавно перетекают друг в друга. Местом притяжения в парадных становятся уникальные элементы интерьера: водопад и аквариум.
Продаётся 3-комнатная квартира в сданном доме (Байкальская, 89 (Блок-секция 2)), срок сдачи: III-кв. 2024, общей площадью 75.5 кв.м., на 5 этаже. Жилой многоквартирный дом в г. Иркутске от застройщика "Стройград".
Продаётся 3-комнатная квартира в строящемся доме (Блок-секция 5), срок сдачи: I-кв. 2026, общей площадью 215.7 кв.м., на 7 этаже. Клубный район на Цесовской Набережной CORSO residence - первый проект недвижимости мирового уровня в Иркутске.
Для Вас эксклюзивный элитный жилой комплекс с оригинальными планировками квартир от 72 до 501 м2.12 пентхаусов и 114 квартир в 7 подъездах, дома 7-8 этажей.
В оформлении фасадов сочетаются архитектурные каноны Иркутска начала XX века, современное переосмысление идей прошлого, неоклассицизм с геометрическими формами.
В любое время года, любую погоду и любой час суток Вы сможете получить в уютном, закрытом для посторонних пространстве комплекса то, что подарит Вам радость.
Продажа 1-к. квартиры в ЖК Лотос (бизнес-класс). Южные окна во двор и на реку! Дом ещё не сдан.
Локация: ул. Баррикад, 10 минут от центра. Продажа на этапе строительства лучшая цена и возможность повлиять на планировку.
Главная особенность ОДНА, но очень удачная сторона света (ЮГ):
Все окна квартиры смотрят на юг солнце с утра до вечера, светлая тёплая квартира.
Из этих же окон открывается вид сразу на две зоны: на ухоженный внутренний двор (тишина, безопасно для детей, нет машин) и на реку (живописный пейзаж).
Никакой шумной улицы, только двор и вода.
О квартире:
1 комната, площадь 32,20 кв.м.
Планировка 1-к квартира ( 2 окна, свободная планировка, можно сделать студию или полноценную однушку) .
Комфортный 2 этаж.
О доме и территории:
ЖК Лотос бизнес-класса, видеонаблюдение, подземный паркинг (двор без машин), гостевая парковка.
Для жителей: смотровая площадка на реку, детская зона, гриль.
Почему выгодно сейчас (дом не сдан):
Цена ниже постфактум на 2030%.
После сдачи квартиры с южными окнами во двор и на реку вырастут в цене быстрее других.
Звоните, с удовольствием отвечу на интересующие вопросы!
Новый комплекс клубных домов "Звёзды" в сердце Иркутска. Изысканные архитектурные решения премиум-класса для ценителей высокого качества жизни.
Детские сады и школа в шаговой доступности. Самый крупный и востребованный торговый центр Яркомол. Рядом в шаговой доступности благоустроенная набережная, прогулочная зона, множество кофейн, кафе и ресторанов.
- Премиум-класс
- Закруглённые стены
- Потолки более 3х метров
- Ванные комнаты с панорамными окнами
- Мастер-спальни с отдельными ванными
Продам!
ЖК САЛЮТ Застройщик Родные берега.
-Жилой комплекс состоит из 3 блок секций
-Дома оснащены 3 лифтами с учетом Строительных норм и СНиПов.
-Детские площадки, подземная парковка.
Продажа от Подрядной Организации Юридическое лицо цена ниже чем у Застройщика
на 500 000 рублей!.
-В шаговой доступности расположена вся необходимая инфраструктура: магазины, аптеки, рестораны, кофейни, школы, детсады, кондитерские, пекарни, салоны красоты, фитнес-клубы и многое другое.
-До Баргузина 5 мин.
-Рядом Ярко Молл и Диагностический центр.
-Прекрасная инвестиция приобретение квартиры на этапе строительства у проверенного Застройщика с учетом повышения цены на этапе строительства!!!
-Семейная ипотека подходить!!!
Звоните отвечу на все интересующие вопросы!
Продается квартира с профессиональным дизайн-проектом в подарок
Продажа напрямую от застройщика в надежном монолитном доме. С заботой, чтобы ваш переезд был легким: дарим подробный дизайн-проект, разработанный специально для этой планировки.
Приобрести квартиру возможно по специальным условиям от застройщика, а так же в рассрочку 0%.
Специальное предложение:
Успейте до 31 мая!
СКИДКА 20 000 ₽ НА КАЖДЫЙ
КВАДРАТНЫЙ МЕТР
Преимущества покупки квартиры в ЖК "Восход":
• ЖК "Восход" раcположен всeгo в 5ти минутах до центра Иркутска без пробок, в сердце Свердловского района на пересечении 4-й Железнодорожной и Румянцева.
• Удoбная инфрастpуктуpa буквaльнo в нeсколькиx шaгаx oт домa, a виды на реку Aнгaру coздают атмосферу уюта и гармонии с природой.
• Большие панорамные окна высотой 2,05 метра.
• Свободные планировки позволят легко зонировать пространство под личные нужды — создать уютную спальню, рабочее место или гостиную.
• В цокольном этаже предусмотрены кладовые для хранения сезонных и крупных вещей, а также подземный паркинг с машино-местами. Спуститься к автомобилю можно прямо из квартиры — на лифте.
Строительство жилого комплекса началось с первого дома, который был сдан в апреле 2022 года. Всего по проекту запланировано 2 зеркальных дома.
Расположение: в Сердце Свердловского района на 4ой Железнодорожной (Иркутск)
Наши менеджеры будут рады зафиксировать для вас персональные условия скидку и подробнее рассказать о ЖК. Успейте купить на лучших условиях!
ПОДХОДИТ ПОД СЕМЕЙНУЮ ИПОТЕКУ.
*Акция действует до 31.05.2026 г. Не является публичной офертой. Проектная декларация на сайте наш.дом.рф. Застройщик ООО СЗ "СТАРТ ИНВЕСТ". Подарок предоставляется при покупке квартиры. Размер выгоды зависит от площади объекта. Предложение по рассрочке и скидке ограничено и распространяется на квартиры площадью от 57 м². Для квартир площадью менее 57 м² действует акция: кладовое помещение в подарок или скидка в размере стоимости кладового помещения. Количество призов и квартир ограничено. Подробные условия и наличие уточняйте по телефону.
Продаётся уютная двухкомнатная квартира площадью 60 квадратных метров в новом жилом комплексе "Источник", расположенном в городе Иркутске. Квартира находится на 5 этаже 12-этажного кирпичного дома, построенного в 2025 году.
Из окон открывается прекрасный вид на улицу, а также имеется балкон, где можно наслаждаться свежим воздухом и красивыми закатами. Общая площадь квартиры составляет 60 квадратных метров, включая жилую площадь 35 квадратных метров и просторную кухню площадью 16 квадратных метров. Санузел совмещённый, что является удобством для многих семей.
Дом оборудован всеми необходимыми элементами безопасности: консьержем и закрытой территорией, что позволяет вам чувствовать себя защищёнными. Также во дворе расположены детская и спортивная площадки, где ваши дети смогут активно проводить время на свежем воздухе.
Рядом с домом находятся школа и детский сад, что делает этот район идеальным выбором для семей с детьми. Парковка предусмотрена прямо во дворе, так что вам не придётся беспокоиться о поиске места для вашего автомобиля.
Квартира требует ремонта, что даёт вам возможность воплотить все свои дизайнерские идеи и создать интерьер своей мечты. Это отличная инвестиция в будущее вашей семьи!
Приглашаем вас ознакомиться с этой замечательной квартирой лично. Она ждёт своих новых владельцев!
Новый комплекс клубных домов "Звёзды" в сердце Иркутска. Изысканные архитектурные решения премиум-класса для ценителей высокого качества жизни.
Детские сады и школа в шаговой доступности. Самый крупный и востребованный торговый центр Яркомол. Рядом в шаговой доступности благоустроенная набережная, прогулочная зона, множество кофейн, кафе и ресторанов.
- Премиум-класс
- Закруглённые стены
- Потолки более 3х метров
- Ванные комнаты с панорамными окнами
- Мастер-спальни с отдельными ванными
Продаётся 4-комнатная квартира в сданном доме (Култукская, 16 (БС 9)), срок сдачи: III-кв. 2024, общей площадью 86.6 кв.м., на 13 этаже. Застройщиком ЖК является компания ООО "ДЕСС-ИНВЕСТ", входящая в состав группы строительных компаний "Восток Центр Иркутск".